Publicité
Publicité

Les Philippines face à la menace Haiyan

Europe1 .fr avec Reuters - Mis à jour le . 1 min
Les Philippines face à la menace Haiyan
© Reuters

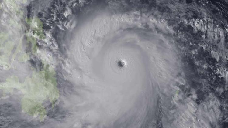
Le super-typhon, annoncé comme le plus violent du monde pour 2013, s'est attaqué aux Philippines vendredi.

Le super-typhon Haiyan, le cyclone annoncé comme le plus violent au monde cette année, a commencé à frapper les Philippines vendredi, faisant au moins trois morts et provoquant des dégâts matériels potentiellement "catastrophiques". Haiyan balayait tôt vendredi matin les côtes est de l'archipel avec des vents soufflant par rafale jusqu'à 315 km/h, selon l'agence météo des Philippines.

La suite après cette publicité
La suite après cette publicité

Il se trouvait au-dessus de l'île de Samar, à environ 600 km au sud-est de Manille, après avoir touché la ville côtière de Guiuan à 4H40 (20H40 GMT jeudi), a indiqué à l'AFP le météorologue Romeo Cajulis. Les dégâts, à Guiuan, un port de pêche de 40.000 âmes, pourraient être "catastrophiques", a prévenu le météorologue américain Jeff Masters sur Wunderground . "Peut-être les plus gros dégâts causés par un cyclone tropical sur une ville depuis un siècle", selon lui. Les communications avec la ville ont été immédiatement coupées à l'arrivé du typhon.

Au moins trois morts et un disparu

La chaîne de télévision ABS CBN diffusait des images de rues submergées, de toits en tôle ondulée arrachés et de bâtiments mis à terre à Tacloban, une ville de 200.000 habitants sur le littoral. "On nous a rapporté des arbres déracinés, des vents très violents (...) et des habitations en matériaux légers endommagés", a déclaré le chef de la Croix-Rouge nationale, Gwendolyn Pang.

La suite après cette publicité
La suite après cette publicité

Le typhon a fait trois morts et un disparu, selon le premier bilan provisoire officiel qui devrait très rapidement s'aggraver avant le départ de Haiyan prévu dans la soirée. Les autorités s'efforçaient d'obtenir des informations sur les conséquences du typhon mais plusieurs localités étaient totalement coupées du monde.